Polska
Świat
Polityka
Sport
Biznes
Kontakt
Cyklon
2 lutego 2026
Redakcja iPolska24
Karolina Północna pod śnieżnym paraliżem: Największa śnieżyca XXI wieku sparaliżowała wybrzeże
22 stycznia 2026
Redakcja iPolska24
Burza Harry zostawiła Sycylię, Sardynię i Kalabrię w ruinie – straty liczone w miliardach euro
20 listopada 2024
Redakcja iPolska24
„Cyklon bombowy” uderza w północny zachód USA: Deszcz, śnieg i wichury na horyzoncie
7 grudnia 2023
Redakcja iPolska24
Chennai w szponach cyklonu michaung: miasto zmagające się z powodzią i chaosem.
18 czerwca 2023
Redakcja iPolska24
„Ekstratropikalny cyklon” w południowej Brazylii spowodował śmierć 11 osób
12 czerwca 2023
Redakcja iPolska24
Nadchodzący cyklon Biparjoy budzi obawy w Indiach – Stan Gudżarat w stanie gotowości!
19 maja 2023
Redakcja iPolska24
Cyklon Mocha w Mjanmie: Rośnie dramatyczna liczba ofiar, większość z nich to członkowie mniejszości Rohingya
13 kwietnia 2023
Redakcja iPolska24
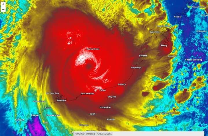
Cyklon Ilsa uderza w zachodnią Australię z siłą piątej kategorii – tysiące ludzi ewakuowanych i ogromne szkody w mieście Port Hedland.
15 marca 2023
Redakcja iPolska24
Peru: Woda płynie ulicami Cusipata pośród wylewających się rzek, gdy cyklon Yaku uderzył w kraj
17 lutego 2023
Redakcja iPolska24
Nadciąga cyklon Ulf. Meteorolodzy ostrzegają przed silnym wiatrem, zwłaszcza na Wybrzeżu
Następna strona